Prevé Consejo Estatal de Protección Civil impacto de huracán “Erick” entre Puerto Escondido y Lagunas de Chacahua
Este fenómeno ocasionará lluvias extraordinarias en gran parte del estado de Oaxaca, especialmente en las regiones Costa y Sierra Sur

COMUNICADO
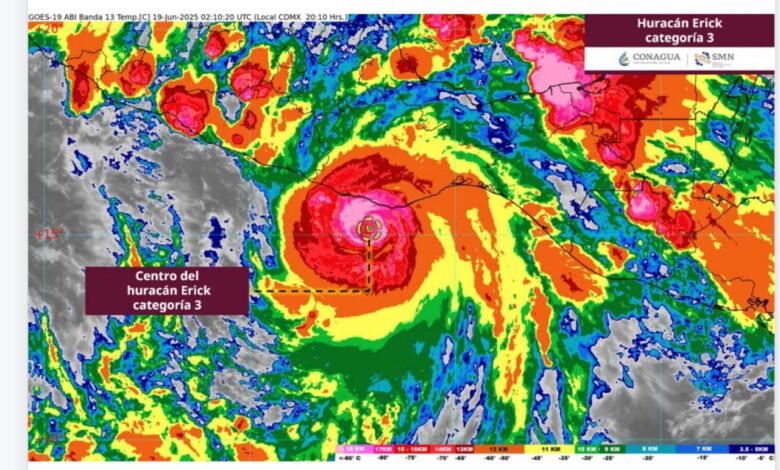
Oaxaca de Juárez, Oax. 18 de junio de 2025.- El Consejo Estatal de Protección Civil informa que el huracán “Erick”, actualmente de categoría 3 en la escala Saffir-Simpson, continúa desplazándose hacia el noroeste y se localiza aproximadamente a 75 km al sur de Puerto Escondido, Oaxaca; desplazándose hacia el noroeste a una velocidad de 15 kilómetros por hora (km/h).
Este sistema, que representa un peligro significativo para las regiones costeras del estado, podría tocar tierra durante la madrugada del jueves entre Puerto Escondido y Lagunas de Chacahua; de acuerdo a los modelos de pronóstico.
Este fenómeno tiene vientos sostenidos de hasta 205 km/h, con rachas más fuertes que alcanzan los 250 km/h, la presión mínima en su centro es de 950 hectopascales, lo que indica gran intensidad.
En consecuencia, el huracán “Erick” ocasionará lluvias extraordinarias en gran parte del estado de Oaxaca, especialmente en las regiones Costa y Sierra Sur. Estas lluvias pueden superar los 250 milímetros (mm) en 24 horas, además de provocar deslaves en zonas montañosas, inundaciones en partes bajas, encharcamientos severos en áreas urbanas y aumento peligroso en los niveles de ríos y arroyos.
Además, se pronostican: oleaje elevado de entre 6 y 8 metros en las playas del estado, marea de tormenta de hasta 2.5 metros sobre el nivel del mar y posibles trombas marinas frente a las costas. Se mantiene activa una zona de prevención por efectos de huracán desde Puerto Ángel hasta los límites con el estado de Guerrero.
Ante esto la Coordinación Estatal de Protección Civil y Gestión de Riesgos exhorta a la población a:
* Extremar precauciones por lluvias, vientos y oleaje elevado.
* Evitar actividades en zonas costeras y navegación marítima.
* Mantenerse informada a través de fuentes oficiales.
* Atender las indicaciones de las autoridades de Protección Civil.
La Comisión Estatal de Protección Civil mantiene vigilancia permanente y trabaja de forma coordinada con los tres órdenes de gobierno para salvaguardar la integridad de la población oaxaqueña ante la evolución de este fenómeno
